Under Contract
    Beachside Block for your Dream Home
    Building a new home? The $25,000 Federal Homebuilder Grant could get you there that much sooner. Eligible first time buyer? A total of $45,000 could be yours to help build your first home here!

    Close enough to hear the waves on the beach and smell the salt in the air, Quaid Real Estate is proud to present for sale two beachside blocks, ready to build your first home or dream home in idyllic Rocky Point, just 20 minutes north of Port Douglas.

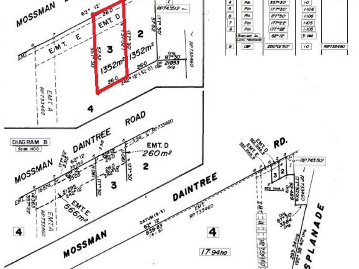
    Level, connected to power and water with NBN available, LOT 3 offers 1352m2 of freehold with plenty of room to build your dream home. Neighbouring million dollar PLUS residences but available at a fraction of the price, the beach is a short stroll away, with the conveniences of shopping, schools and services in Mossman less than a 10 minute drive. Fancy a quick 9 holes? Mossman Golf Club can be reached in just 5 minutes.

    Looking for more land? LOT 2 is also available, providing you with 2 titles and a total land area of 2704m2 . It offers 1352m2 of freehold with the added advantage of a double bay colourbond shed with dual roller doors and concrete floor to the rear of the block. Storage while you build and then room for the toys when you are done.

    Offered for sale as the long term owners look to retirement closer to the grandkids, to make this one yours, contact Tom Quaid at Quaid Real Estate.

    NOTE: Images showing property overlay is as an approximate boundary only.

    For Sale

    Incredible Value - $130,000

    Property Information

    • Land Area
      1352m²

    Agent

    Tom Quaid

    Sales Manager

    Email Tom

    Contact